Sale Agreed - Land
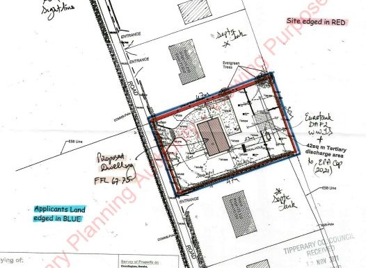
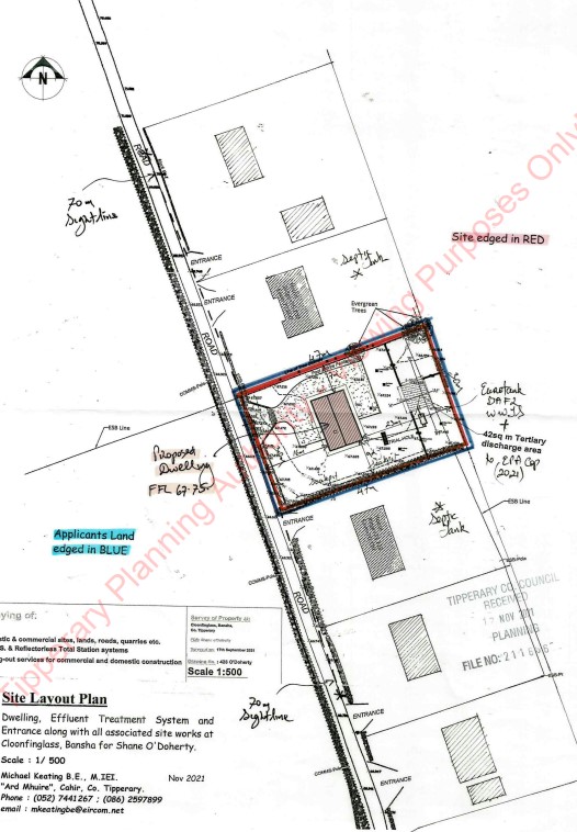
Presenting for sale this wonderfully located 0.4 Acre site located just off the main N24 between Tipperary Town and Cahir in Cloonfinglass, Bansha
0.4 Acre site with Planning for Dwelling, Effluent Treatment System, Entrance and all associated site works
A qualifying applicant would need to be from the local area, have strong ties to the community and or demonstrate a genuine local housing need
Further particulars from selling Agent Paul Cranley on 06231986
Property Features
- Mains Water Connection on boreen roadside
- Site located on a cul de sac
- Site benefits from its own ESB Connection / Supply
- Planning Application: 211666 – Full Planning Granted February 2022 – Valid for 5 years
- Full Planning granted for 1100SQFT Bungalow
- NB : A qualifying applicant would need to be from the local area, have strong ties to the community and or demonstrate a genuine local housing need
Contact us now to arrange a viewing
062 31986 Or info@ogradyauctioneers.ie













